Gemeinde Laufersweiler im Hunsrück
Gemeinde Laufersweiler im Hunsrück

Baugrundstücke

Hier haben Sie die Möglichkeit, bei uns in landschaftlich reizvoller Lage ein

preiswertes Grundstück mit freiem Blick auf den Idarkopf für Ihr Traumhaus zu erwerben

(schnelles Internet ist in Laufersweiler natürlich auch verfügbar)

 

 

Erweiterung Baugebiet

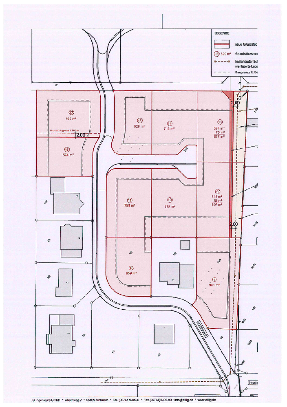
Auf Grund mehrerer Anfragen nach Baugrundstücken hat die Gemeinde im Jahr 2020 beschlossen, acht weitere Bauplätze im Baugebiet Bergbaum / Dellenbaum zu Erschließen. Die Baumaßnahme soll in diesem Jahr begonnen werden. Weitere Informationen entnehmen sie bitte aus der folgenden Karte.

Erschließungsabschnitt_NBG_Laufersweiler
doc06322720210518113810.pdf
PDF-Dokument [396.3 KB]

Die Grundstücke Nr. 16, 17, 15, 14, 13, 10, 9 und 6 sind bereits reserviert.
Das Grundstück Nr. 4 ist verkauft.
Das Grundstück Nr. 11 ist noch frei.

 

Auf der Homepage der Verbandsgemeinde Kirchberg, können weitere Dokumente diesbezüglich heruntergeladen werden, unter:
Weitere Informationen erhalten Sie bei Bedarf bei der Verbandsgemeindeverwaltung Kirchberg.
 
 

Wir beraten Sie gerne

 

 

Ansprechpartner:

 

Rudi Schneider (Ortsbürgermeister)

Provinzialstrasse 4

55487 Laufersweiler

Telefon: 0049 6543/3256

Email an den Ortsbürgermeister

Druckversion | Sitemap
Gemeinde Laufersweiler